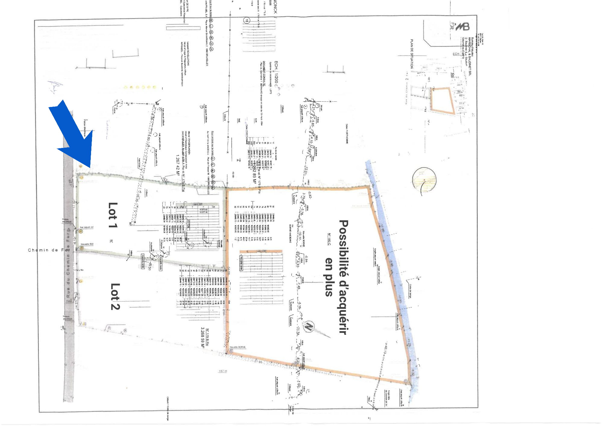
Dans le charmant village de Wonck, au cœur de la commune de Bassenge, l’Immobilière Wolfs vous présente cette belle parcelle de terrain à bâtir de 1.283 m². Situé dans une rue très peu fréquentée, ce terrain plat offre un cadre idéal pour concrétiser votre projet de construction, dans un environnement rural tout en restant proche des commodités.
Superficie totale : 1.283 m².
Relief : plat.
Divers : libre de constructeur et d'architecte, possibilité d'acquérir une partie de terrain supplémentaire à l'arrière.
A DECOUVRIR SANS TARDER !
Terrain à bâtir à vendre
Rue du Chemin de Fer (Lot 1) | Wonck - 4690
145.000€
