Terrain à bâtir à vendre
Rue Large Voie | Wonck - 4690
125.000€
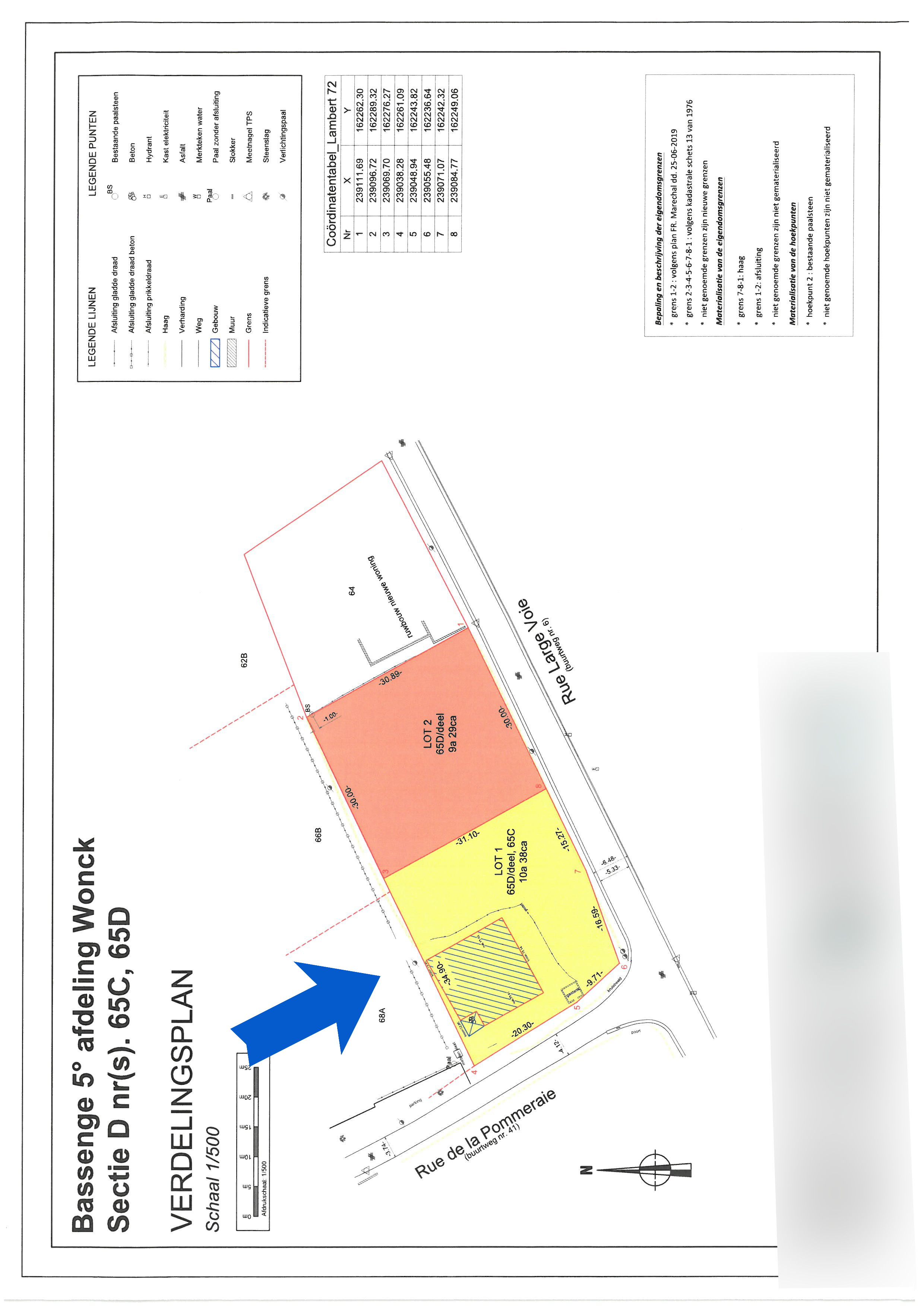
Superficie totale : 1.038 m².
Façade : +/- 32 m.
Profondeur : +/- 30 m.
Relief : plat.
Divers : libre de constructeur et d'architecte.
A DECOUVRIR !
