Terrain à bâtir à vendre
Rue Large Voie | Wonck - 4690
115.000€
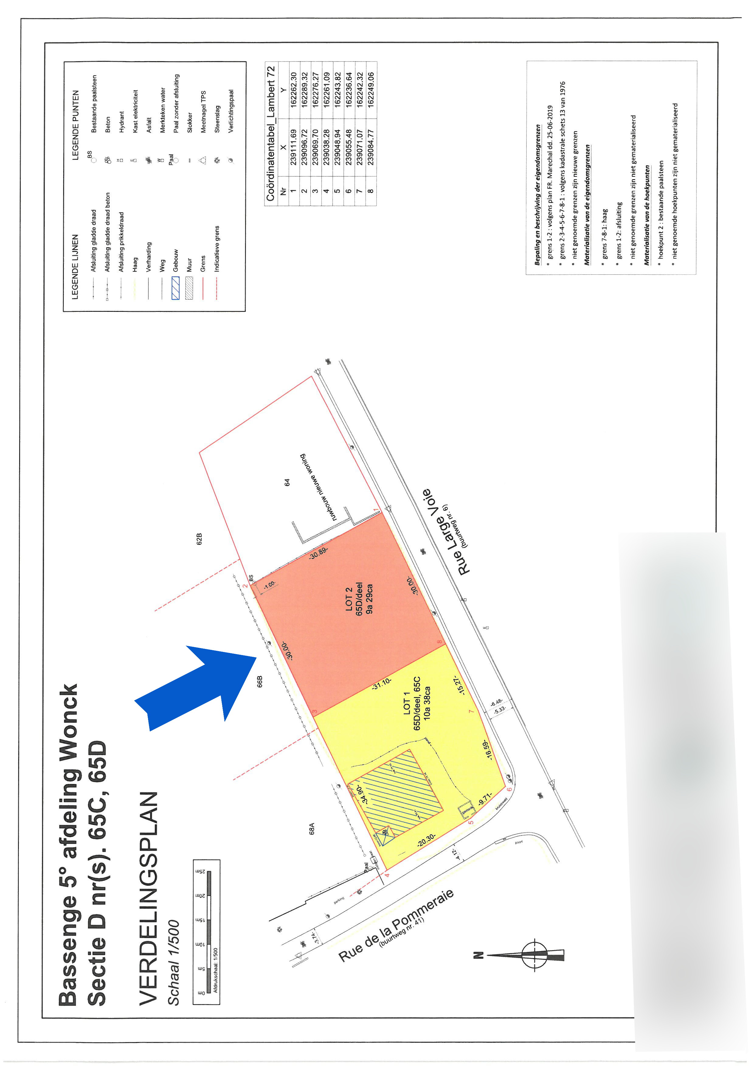
Superficie totale : 929 m².
Façade : +/- 30 m.
Profondeur : +/- 31 m.
Relief : plat.
Divers : libre de constructeur et d'architecte.
A DECOUVRIR !
